PIDEN A LAS AUTORIDADES ACTUAR CON MAYOR DILIGENCIA
«Esto es una violencia terrible, hasta el día de hoy no tenemos ninguna respuesta», dijo Eber Quiroga, nieto del actual titular de la tierra.
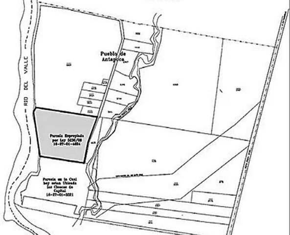
Pasaron ya más de 16 años de iniciado el trámite de expropiación de 71 hectáreas para la creación de una “Planta de Tratamiento de Efluentes Cloacales” en la localidad de Antapoca, departamento Valle Viejo. Sin embargo, la obra no fue realizada, los propietarios de las tierras no pueden disponer de los terrenos y además no cobraron la indemnización ordenada por la Justicia de la Provincia.
Este proyecto tenía como objetivo la construcción de una gran planta de tratamiento de residuos y líquidos cloacales a cielo abierto, que iba a beneficiar a los departamentos Valle Viejo y Fray Mamerto Esquiú.
«No puede ser que la provincia demore tanto tiempo en resolver una expropiación. Expropiaron esas tierras y con el tiempo no realizaron obras porque hicieron una planta en otro lado. La gente cree, está convencida de que es del Estado y que pueden hacer lo que quieren, y el Estado está violentando nuestros derechos porque al beneficiar a toda esa gente con agua, con luz, nos está perjudicando a nosotros», reclamó Eber Quiroga, nieto del actual titular de la tierra.
Quiroga aseguró que al momento de reclamar a los vecinos, recibieron amenazas de muerte: «Lo que está pasando es que se están adueñando de hectáreas y en algunos casos las venden sin ser dueños, pregunto y me dicen que a esos terrenos se los vendieron».
«Esto es una situación de violencia que el Estado mismo ha generado, por supuesto, porque en vez de haberle puesto límites a esta gente ha dejado que hagan casas y eso nos está perjudicando», continuó diciendo.
Sentencia
Según la información a la que pudo acceder este diario, el 20 de abril de 2021, a través de una sentencia definitiva, el Juzgado Civil de Primera Instancia, de Cuarta Nominación hizo lugar a la acción de expropiación «declarando adquirida por el Estado Provincial la fracción…» de 71 hectáreas en cuestión. Además, «condena al Estado provincial a hacer íntegro pago» a los propietarios, imponiendo un monto en «concepto de indemnización, suma a la que deberá aplicársele la tasa activa» de interés que fija el Banco Nación, «como interés compensatorio», desde el año 2019 «hasta su efectivo pago».
En el fallo, la jueza rechaza la petición de indemnización realizada por Leandro Nieva, quien apeló la medida. A pesar de las demoras, la Justicia dispuso asimismo que, previo al pago total de la indemnización, se pase la titularidad del dominio del terreno expropiado al Estado provincial.
«Es una barbaridad porque no podemos disponer de las tierras ni del dinero. O sea que a tantos años el expediente sigue en trámite, nuestras vidas se van y no podemos concretar nuestros proyectos ni nada. Al contrario, la gente que nos usurpa nos denuncia siendo que somos los dueños. ¿Por qué demoran tanto tiempo? ¿Qué está pasando?», finalizó Quiroga.
Inviabilidad
En 2009, el proyecto fue declarado inviable por el coordinador ejecutivo del Banco Interamericano de Desarrollo (BID), Víctor Alonso.
Según indicó, el terreno no reúne las condiciones mínimas ambientales exigidas por ese organismo de financiamiento, porque en las parcelas expropiadas existen dos viviendas.
Además, en el lugar se encuentra la población de Antapoca, donde no solo hay viviendas, sino también una escuela primaria. Es decir que el proyecto cayó porque la provincia no pudo cumplir con los requisitos del BID, entre otros, las licencias ambientales y los derechos sobre las aguas que se requieran.
